Huracán Melissa deja 49 muertos: devasta el norte del Caribe y avanza hacia el Atlántico Norte
31/10/2025 | Haití y Jamaica, son de los países más afectados, golpeando como uno de los huracanes atlánticos más fuertes registrados.
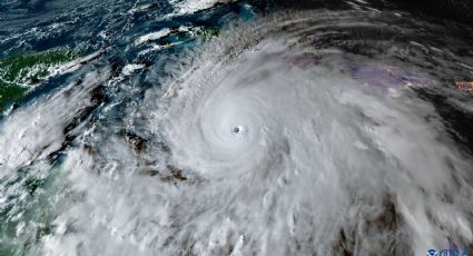
31/10/2025 | Haití y Jamaica, son de los países más afectados, golpeando como uno de los huracanes atlánticos más fuertes registrados.
29/10/2025 | Algunos especialistas, como Christopher Dold, veterinario jefe de SeaWorld en Orlando, señalan que aunque es extremadamente raro, no sería totalmente imposible que un huracán arrastre tiburones tierra adentro.
29/10/2025 | El país caribeño enfrenta una de las peores catástrofes naturales de su historia tras el impacto del huracán que arrasó comunidades y dejó graves daños en toda la isla.
29/10/2025 | El embajador de México en Jamaica, informa sobre el impacto de este fenómeno meteorológico y la atención a connacionales.
28/10/2025 | Más de 881 albergues están disponibles en toda la isla, de los cuales 380 están siendo utilizados por cerca de 6 mil personas que buscan refugio.
28/10/2025 | Roberto Canseco, embajador de México en Jamaica, explicó todo sobre los daños y afectaciones en Jamaica por el paso de Melissa.
28/10/2025 | En cuanto a las lluvias, se prevén acumulaciones de entre 350 y 750 milímetros en partes de Jamaica.
28/10/2025 | En Jamaica las autoridades han preparado más de 800 refugios para acoger a la población evacuada.
27/10/2025 | El ciclón Melissa se fortalece frente a Jamaica y Cuba; conoce su trayectoria y si podría afectar al norte de México.
26/10/2025 | La cancileria recordó además los teléfonos de asistencia consular para los nacionales que se encuentran en el país caribeño.
24/6/2025 | A lo largo de su historia en la Copa Oro, Panamá y Jamaica se han enfrentado en un par de ocasiones, y hasta ahora, el equilibrio favorece a los jamaiquinos.
11/11/2024 | Para darle un toque diferente a tu té, puedes agregar otros ingredientes como jengibre, clavo de olor o piel de naranja.
9/9/2024 | La jamaica ofrece un beneficio que pocas personas conocen y que un científico logró descubrir
22/6/2024 | El Tri ganó los tres puntos con ese tanto en el minuto 68 ante un Jamaica rocoso, pero a qué precio.
4/8/2023 | Seguramente has visto estos productos y te ha surgido la duda de qué tan buenos son, pues la Profeco te lo dice.