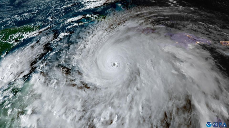
El huracán Melissa se encuentra a unos 215 kilómetros al sureste de Kingston, la capital de Jamaica, y a 500 kilómetros al suroeste de Guantánamo, con vientos máximos sostenidos muy fuertes de 280 kilómetros por hora, según el último informe del Centro Nacional de Huracanes (NHC) de Estados Unidos a las 06:00 GMT.
En su trayectoria prevista, el centro de Melissa impactará directamente sobre Jamaica hoy, con vientos catastróficos y que amenazan la vida, inundaciones y marejada; se desplazará por el sureste de Cuba el miércoles por la mañana y continuará hacia el sur y centro de Bahamas durante la jornada del miércoles.
¿Huracán Melissa causará gran desastre en el Caribe?
Actualmente, los vientos máximos sostenidos de Melissa alcanzan 280 km/h con rachas aún más intensas, manteniéndose como un huracán mayor de categoría 5 en la escala Saffir-Simpson. Aunque se esperan fluctuaciones en su intensidad, el NHC insiste en que el ciclón tocará tierra con fuerza devastadora, capaz de causar daños estructurales totales en zonas expuestas y elevadas.
Te podría interesar
Además del viento, las precipitaciones ocasionadas por el huracán serán torrenciales, lo que podría ocasionar inundaciones repentinas "potencialmente catastróficas" y deslizamientos de tierra a gran escala. Se espera que hoy comiencen condiciones de tormenta tropical en el este de Cuba y condiciones de huracán en áreas bajo aviso desde esta noche, hasta la mañana del miércoles.
Jamaica ante el Huracán Melissa
El Gobierno de Jamaica informó en la noche del lunes que tres personas murieron y 13 resultaron heridas durante las preparaciones para el impacto del huracán. Además, cerca de 50.000 personas se encuentran sin luz, la mayoría en el extremo occidental de la isla, mientras cada vez más personas acuden a los 881 refugios habilitados por las autoridades.
Te podría interesar
Evan Thompson-Meadows, director de la oficina de meteorología de Jamaica, pronosticó que "las zonas más afectadas por las lluvias más intensas serán principalmente las del centro y el este". "Estamos hablando de unos 750 milímetros de lluvia. Ni siquiera estoy seguro de que nuestros pluviómetros sean capaces de medir esa cantidad", indicó.
Cuba se prepara para posibles inundaciones
Cuba prevé que el potente huracán provoque a partir de mañana inundaciones en Santiago y toda la costa sur del tercio oriental de la isla. Está previsto que Melissa se debilite algo al atravesar Jamaica y que luego vuelva a intensificarse antes de tocar territorio cubano en la madrugada del miércoles.
La experta en ciclones tropicales de la Organización Meteorológica Mundial, Anne Claire Fontan, informó de que los vientos del Huracán Melissa alcanzarán los 280 kilómetros por hora, pero que habrá ráfagas de hasta 350 km/h a lo largo del día de hoy.
Huracán Melissa cruza el oeste de Jamaica con fuerza devastadora
Por Paloma Meurinne
El Centro Nacional de Huracanes (NHC) informó que el huracán Melissa, de categoría 5, cruza el oeste de Jamaica con vientos catastróficos, inundaciones repentinas y marejadas ciclónicas.
Huracán Melissa toca tierra en Jamaica como categoría 5
Por Paloma Meurinne
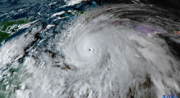
El huracán Melissa impactó el suroeste de Jamaica, cerca de New Hope, con vientos sostenidos de 295 km/h y una presión mínima de 892 mb, lo que lo convierte en uno de los huracanes más intensos del Atlántico en la historia.
El Centro Nacional de Huracanes (NHC) advirtió que se trata de una situación extremadamente peligrosa y potencialmente mortal, con riesgo de inundaciones, marejadas y daños severos.
ONU destina ayuda de emergencia a Cuba ante la llegada de Melissa
Por Paloma Meurinne
El jefe de Asuntos Humanitarios de la ONU, Tom Fletcher, anunció la entrega de 4 millones de dólares del Fondo de Respuesta para Emergencias en apoyo a Cuba, donde se implementarán medidas preventivas para 170 mil personas ante el inminente impacto del huracán Melissa.
Jamaica se prepara para el impacto directo
Por Paloma Meurinne
El huracán Melissa, de categoría 5, está a punto de tocar tierra en Jamaica, donde las autoridades han emitido alertas por vientos catastróficos, lluvias torrenciales e inundaciones severas.
El Centro Nacional de Huracanes (NHC) advirtió que se trata de una situación extremadamente peligrosa y potencialmente mortal, por lo que pidió a la población refugiarse de inmediato.
El NHC mantiene alertas de huracán para toda Jamaica
Por Damaris Sánchez
El NHC mantiene alertas de huracán para toda Jamaica, las provincias orientales de Cuba -Granma, Santiago de Cuba, Guantánamo y Holguín-, así como para las Bahamas centrales y del sureste. Haití, Las Tunas (Cuba) y las islas Turcos y Caicos permanecen bajo aviso de tormenta tropical.
Las autoridades jamaicanas instaron a la población a permanecer en refugios seguros, ante la inminencia de vientos devastadores que podrían causar "fallos estructurales totales", especialmente en zonas montañosas donde las ráfagas pueden ser hasta un 30 % más fuertes.
Huracán Melissa azota Jamaica con vientos y lluvias devastadores
Por Damaris Sánchez
Los efectos del huracán Melissa, de categoría 5, golpean ya Jamaica con vientos catastróficos y lluvias torrenciales y se prevé que tocará tierra en esta isla las "próximas horas" manteniendo su intensidad extrema, informó este martes el Centro Nacional de Huracanes (NHC) de Estados Unidos.
Melissa se aproxima a la costa occidental de Jamaica con vientos sostenidos de 280 kilómetros por hora (175 millas por hora), lluvias torrenciales y marejadas que amenazan con provocar inundaciones y daños catastróficos, detalló.
