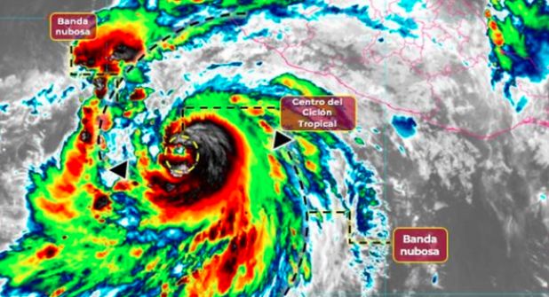
El Servicio Meteorológico Nacional informó que las extensas bandas nubosas del huracán Hilary, en interacción con inestabilidad en la atmósfera superior, provocarán lluvias fuertes a puntuales muy fuertes en estados del occidente, centro y sur de México.
Además, se esperan rachas de viento fuerte y oleaje elevado en las costas de Guerrero, Michoacán, Colima y Jalisco.
En tanto, la onda tropical número 23, en interacción con un canal de baja presión en el sur del Golfo de México, ocasionará lluvias fuertes a muy fuertes con descargas eléctricas en Tabasco, Chiapas, Oaxaca y Veracruz, e intervalos de chubascos en la Península de Yucatán.
El Servicio Meteorológico Nacional informó que las extensas bandas nubosas del huracán Hilary, en interacción con inestabilidad en la atmósfera superior, provocarán lluvias fuertes a puntuales muy fuertes en estados del occidente, centro y sur de México.
Además, se esperan rachas de viento fuerte y oleaje elevado en las costas de Guerrero, Michoacán, Colima y Jalisco.
En tanto, la onda tropical número 23, en interacción con un canal de baja presión en el sur del Golfo de México, ocasionará lluvias fuertes a muy fuertes con descargas eléctricas en Tabasco, Chiapas, Oaxaca y Veracruz, e intervalos de chubascos en la Península de Yucatán.
Por otra parte, el monzón mexicano y una zona de inestabilidad en la atmósfera superior, producirá lluvias fuertes a puntuales muy fuertes con descargas eléctricas, rachas de viento y posible caída de granizo en el noroeste del territorio nacional.
El pronóstico de precipitaciones contempla lluvias fuertes con puntuales muy fuertes en Sonora, Nayarit, Jalisco, Colima y Michoacán,
Además, se prevén intervalos de chubascos con lluvias puntuales fuertes en Chihuahua, Sinaloa, Durango, Zacatecas, Guanajuato, Querétaro, Hidalgo, Puebla, Tlaxcala, Estado de México, Ciudad de México, Morelos y Tabasco.
Asimismo, se esperan intervalos de chubascos en Baja California Sur, Coahuila, Nuevo León, Tamaulipas, San Luis Potosí, Aguascalientes, Campeche, Yucatán y Quintana Roo.
Finalmente, continuará el ambiente muy caluroso a extremadamente caluroso, con temperaturas superiores a 40 grados Celsius en estados del noroeste, norte y noreste de la República Mexicana.
